U gebruikt een verouderde internetbrowser.
We raden u aan om de meest recente internetbrowser te installeren voor de beste weergave van deze website.
Een internetbrowser die up to date is, staat ook garant voor veilig surfen.

Helaas, dit pand is verkocht

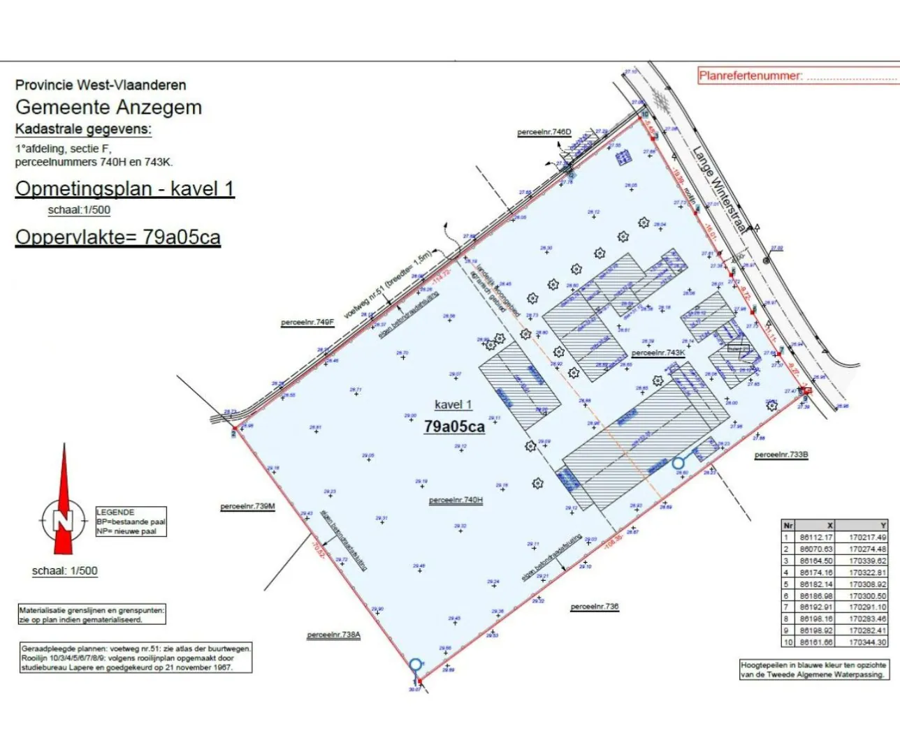
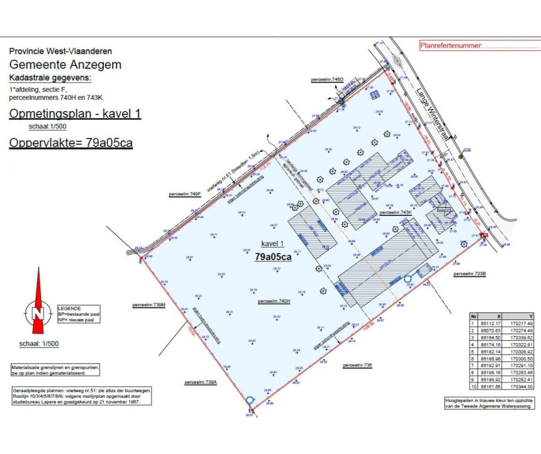
8570 Anzegem

Omschrijving

Magnifiek gelegen eigendom op 7905 m² met enorm veel potentieel. (3194m² bouwgrond en 4711 m² landbouwgrond)
Mogelijkheid tot verkavelen (maximum 6 kavels/ zie toegevoegd verkavelingsvoorstel). Kan ook particulier bebouwd worden met eventueel paardenstallen.
Aan de straatkant heeft u een breedte van meer dan 70m en een diepte van meer dan 40m binnen woongebied.
Gezien de staat van de woning is het nodig om een totaalrenovatie uit te voeren of een sloop en heropbouw toe te passen.
Unieke locatie met prachtig open verzicht. Vlakbij Vichte, Wortegem, Waregem, belangrijke uitvalswegen en toch heel landelijk en rustig.

Heeft u interesse in dit project? Plan gerust uw bezoek in met Maison R via 0479 368 349.


Niet gevonden wat u zocht? Schrijf u dan vrijblijvend in en blijf op de hoogte van ons recentste aanbod.
Op zoek?
Terug naar boven
Sluit menu Maison R